24/2005. (VIII. 19.) NKÖM rendelet
24/2005. (VIII. 19.) NKÖM rendelet
egyes régészeti lelőhelyek védetté nyilvánításáról
A kulturális örökség védelméről szóló 2001. évi LXIV. törvény 15. § (1)–(2) bekezdései, valamint a 86. § (1) bekezdésének a) pontja alapján, az érintett miniszterekkel egyetértésben, a következőket rendelem el:
1. § (1)1 Kiemelten védett régészeti lelőhellyé nyilvánítom a Dombóvár (Tolna vármegye), külterület 091/352, 091/353, 091/354, 091/355, 091/356, 091/357, 091/358, 091/359, 091/360, 091/361, 091/362, 091/363, 091/364, 091/365, 091/366, 091/367, 091/368 és 091/369 helyrajzi számok alatt nyilvántartott szántó, a 091/377, 091/378, 091/379, 091/380, 091/381, 091/382, 091/383, 091/384, 091/385, 091/386, 091/387, 091/388, 091/389, 091/390, 091/391, 091/392, 091/393, 091/394 és 091/395 helyrajzi számok alatt nyilvántartott kivett és szántó, valamint a 097 helyrajzi szám alatt nyilvántartott kivett művelési ágú, továbbá a Kapospula (Tolna vármegye), külterület 0127, 0130/2, 0132/4, 0132/6, 0132/7, 0134/6, 0134/8, 0134/9, 0134/10, 0134/11, 0134/12, 0134/14 és 0134/15 helyrajzi számok alatt nyilvántartott szántó, a 0128/1, 0130/4, 0132/2, 0132/3, 0132/5, 0132/10 és 0132/11 helyrajzi számok alatt nyilvántartott legelő, valamint a 0128/2, 0128/3, 0128/4, 0128/5, 0128/6, 0129, 0130/3, 0131, 0132/8 és 0133 helyrajzi számok alatt nyilvántartott kivett, természetben Alsóhetény területén található ingatlanokat.
(2) Az (1) bekezdésben megjelölt területen a régészeti védelem célja az itt található késő római belső erőd, késő római település és a hozzá tartozó temető ókeresztény sírépítményeinek együttes megőrzése, későbbi kutathatóságuk biztosítása.
(3)2
(4) Az örökségvédelmi bírság megállapításának szempontjából a kiemelten védett régészeti lelőhelyet az I. kategóriába sorolom.
(5) Az (1) bekezdésben megjelölt dombóvári 091/352, 091/353, 091/354, 091/355, 091/356, 091/357, 091/358, 091/359, 091/360, 091/361, 091/362, 091/363, 091/364, 091/365, 091/366, 091/367, 091/368, 091/369, 091/377, 091/378, 091/379, 091/380, 091/381, 091/382, 091/383, 091/384, 091/385, 091/386, 091/387, 091/388, 091/389, 091/390, 091/391, 091/392, 091/393, 091/394 és 091/395 helyrajzi számú, valamint a kapospulai 0127, 0128/2, 0128/3, 0128/4, 0128/5, 0128/6, 0130/2, 0130/3, 0132/4, 0132/6, 0132/7, 0132/8, 0134/6, 0134/8, 0134/9, 0134/10, 0134/11, 0134/12, 0134/14 és 0134/15 helyrajzi számú ingatlanok esetében a Magyar Államot elővásárlási jog illeti meg.
2. § (1)3 Fokozottan védett régészeti lelőhellyé nyilvánítom a Dalmand (Tolna vármegye), külterület 048/2 helyrajzi szám alatt nyilvántartott kivett, valamint a 048/42, 048/43, 048/44, 048/45, 048/46, 048/47, 048/48, 048/49, 048/50, 048/51, 048/52, 048/53, 048/54, 048/55, 048/56, 048/57, 048/58 és 048/59 helyrajzi számok alatt nyilvántartott szántó művelési ágú, természetben a Sánc nevű dűlőben található ingatlanokat.
(2) Az (1) bekezdésben megjelölt területen a védelem célja az itt található középkori mezőváros és sánccal körbekerített terület megőrzése, további kutathatóságának biztosítása.
(3)4
(4) Az örökségvédelmi bírság megállapításának szempontjából a fokozottan védett régészeti lelőhelyet a II. kategóriába sorolom.
(5) Az (1) bekezdésben megjelölt 048/42, 048/43, 048/44, 048/45, 048/46, 048/47, 048/48, 048/49, 048/50, 048/51, 048/52, 048/53, 048/54, 048/55, 048/56, 048/57, 048/58 és 048/59 helyrajzi számú ingatlanok esetében a Magyar Államot elővásárlási jog illeti meg.
3. § (1)5 Fokozottan védett régészeti lelőhellyé nyilvánítom a Doboz (Békés vármegye), külterület 0127 helyrajzi szám alatt nyilvántartott kivett, szántó és erdő, a 0131/2 helyrajzi szám alatt nyilvántartott erdő, valamint a 0133 helyrajzi szám alatt nyilvántartott kivett, legelő és erdő művelési ágú, természetben a Faluhely és Sámsonvár területén található ingatlanokat.
(2) Az (1) bekezdésben megjelölt területen a régészeti védelem célja az itt található Árpád-kori település és vár megőrzése, kutathatóságuk biztosítása.
(3)6
(4) Az örökségvédelmi bírság megállapításának szempontjából a fokozottan védett régészeti lelőhelyet a II. kategóriába sorolom.
4. § (1)7 Fokozottan védett régészeti lelőhellyé nyilvánítom az Érd (Pest vármegye), belterület 23947 helyrajzi szám alatt nyilvántartott kivett művelési ágú, természetben az Ófalu, Kastélydombon található ingatlant.
(2) Az (1) bekezdésben megjelölt területen a régészeti védelem célja a késő középkori–kora újkori nemesi udvarház pincemaradványának, illetve az udvarház még fel nem tárt, föld alatt található régészeti jelenségeinek megőrzése, kutathatóságának biztosítása.
(3)8
(4) Az örökségvédelmi bírság megállapításának szempontjából a fokozottan védett régészeti lelőhelyet a II. kategóriába sorolom.
5. § (1)9 Fokozottan védett régészeti lelőhellyé nyilvánítom az Orosháza (Békés vármegye), külterület 0257/10 és 0268/1 helyrajzi számok alatt nyilvántartott szántó, a 0257/13 helyrajzi szám alatt nyilvántartott szántó és legelő, a 0258, 0262, 0271, 0273, 0275 és 0287/2 helyrajzi számok alatt nyilvántartott kivett, a 0261/1, 0274 és 0278/1 helyrajzi számok alatt nyilvántartott kivett és szántó, a 0267 helyrajzi szám alatt nyilvántartott legelő, valamint a 0272 és 0287/1 helyrajzi számok alatt nyilvántartott kivett, szántó és legelő művelési ágú, természetben a Nagytatársánc területén található ingatlanokat.
(2) Az (1) bekezdésben megjelölt területen a védelem célja az itt található késő bronzkori sánc és település maradványainak megőrzése, kutathatóságuk biztosítása.
(3)10
(4) Az örökségvédelmi bírság megállapításának szempontjából a fokozottan védett régészeti lelőhelyet a II. kategóriába sorolom.
(5) Az (1) bekezdésben szereplő 0257/10, 0257/13, 0261/1, 0268/1, 0272, 0274, 0278/1 és 0287/1 helyrajzi számú ingatlanok esetében a Magyar Államot elővásárlási jog illeti meg.
6. § (1)11 Fokozottan védett régészeti lelőhellyé nyilvánítom a Szeged (Csongrád vármegye), külterület 02207/17, 02207/24, 02207/25, 02209/18 és 02209/21 helyrajzi számok alatt nyilvántartott szántó, a 02207/18 helyrajzi szám alatt nyilvántartott erdő, a 02207/23 helyrajzi szám alatt nyilvántartott szántó és legelő, a 02208, 02216 és 02220 helyrajzi számok alatt nyilvántartott kivett, a 02209/19 helyrajzi szám alatt nyilvántartott kivett és szántó, a 02209/22 és 02219/4 helyrajzi számok alatt nyilvántartott szántó és erdő, a 02219/2 helyrajzi szám alatt nyilvántartott legelő, valamint a 02221/3 helyrajzi szám alatt nyilvántartott kivett és legelő művelési ágú, természetben a Tápé, Lebő-halom dűlőben található ingatlanokat.
(2) Az (1) bekezdésben megjelölt területen a régészeti védelem célja az itt található késő újkőkori tell település megőrzése – amelynek területén évezredeken keresztül számos kultúra népessége települt meg –, valamint a terület későbbi kutathatóságának biztosítása.
(3)12
(4) Az örökségvédelmi bírság megállapításának szempontjából a fokozottan védett régészeti lelőhelyet a II. kategóriába sorolom.
(5) Az (1) bekezdésben szereplő 02207/17, 02207/23, 02207/24, 02207/25, 02209/18, 02209/19, 02209/21, 02209/22 és 02219/4 helyrajzi számú ingatlanok esetében a Magyar Államot elővásárlási jog illeti meg.
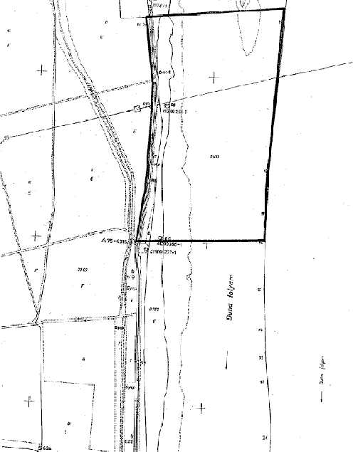
7. § (1)13 Fokozottan védett régészeti lelőhellyé nyilvánítom a Szigetmonostor (Pest vármegye), külterület 0100 helyrajzi szám alatt nyilvántartott kivett, a 0110 helyrajzi szám alatt nyilvántartott kivett, erdő és legelő, valamint a 0111 helyrajzi szám alatt nyilvántartott erdő művelési ágú, természetben a Horány településrészen található ingatlanokat. A védendő régészeti értékek az e rendelet mellékletében található térképen jelölt területen belül helyezkednek el.
(2) Az (1) bekezdésben megjelölt területen a régészeti védelem célja az itt található késő római kikötő-erőd maradványainak megőrzése, kutathatóságának biztosítása.
(3)14
(4) Az örökségvédelmi bírság megállapításának szempontjából a fokozottan védett régészeti lelőhelyet a II. kategóriába sorolom.
8. § (1)15 Fokozottan védett régészeti lelőhellyé nyilvánítom a Vaskút (Bács-Kiskun vármegye), külterület 0358/2 helyrajzi szám alatt nyilvántartott szántó és a 0363 helyrajzi szám alatt nyilvántartott szántó és erdő művelési ágú, természetben a Várhely és Törökdombok dűlőben található ingatlanokat.
(2) Az (1) bekezdésben megjelölt területen, a régészeti védelem célja az itt található szarmata halomsírok és a különleges földmunkával készült sánc régészeti értékeinek megőrzése, kutathatóságuk biztosítása.
(3)16
(4) Az örökségvédelmi bírság megállapításának szempontjából a fokozottan védett régészeti lelőhelyet a II. kategóriába sorolom.
9. § (1) Ez a rendelet a kihirdetését követő 8. napon lép hatályba.
(2)17
Melléklet a 24/2005. (VIII. 19.) NKÖM rendelethez

Az 1. § (1) bekezdése az 1/2022. (XII. 27.) ÉKM rendelet 9. § a) pontja szerint módosított szöveg.
Az 1. § (3) bekezdését a 79/2012. (XII. 28.) BM rendelet 1. § a) pontja hatályon kívül helyezte.
A 2. § (1) bekezdése az 1/2022. (XII. 27.) ÉKM rendelet 9. § b) pontja szerint módosított szöveg.
A 2. § (3) bekezdését a 79/2012. (XII. 28.) BM rendelet 1. § b) pontja hatályon kívül helyezte.
A 3. § (1) bekezdése az 1/2022. (XII. 27.) ÉKM rendelet 9. § b) pontja szerint módosított szöveg.
A 3. § (3) bekezdését a 79/2012. (XII. 28.) BM rendelet 1. § c) pontja hatályon kívül helyezte.
A 4. § (1) bekezdése az 1/2022. (XII. 27.) ÉKM rendelet 9. § b) pontja szerint módosított szöveg.
A 4. § (3) bekezdését a 79/2012. (XII. 28.) BM rendelet 1. § d) pontja hatályon kívül helyezte.
Az 5. § (1) bekezdése az 1/2022. (XII. 27.) ÉKM rendelet 9. § b) pontja szerint módosított szöveg.
Az 5. § (3) bekezdését a 79/2012. (XII. 28.) BM rendelet 1. § e) pontja hatályon kívül helyezte.
A 6. § (1) bekezdése az 1/2022. (XII. 27.) ÉKM rendelet 9. § b) pontja szerint módosított szöveg.
A 6. § (3) bekezdését a 79/2012. (XII. 28.) BM rendelet 1. § f) pontja hatályon kívül helyezte.
A 7. § (1) bekezdése az 1/2022. (XII. 27.) ÉKM rendelet 9. § b) pontja szerint módosított szöveg.
A 7. § (3) bekezdését a 79/2012. (XII. 28.) BM rendelet 1. § g) pontja hatályon kívül helyezte.
A 8. § (1) bekezdése az 1/2022. (XII. 27.) ÉKM rendelet 9. § b) pontja szerint módosított szöveg.
A 8. § (3) bekezdését a 79/2012. (XII. 28.) BM rendelet 1. § h) pontja hatályon kívül helyezte.
A 9. § (2) bekezdését a 118/2008. (V. 8.) Korm. rendelet 38. §-ának 16. pontja hatályon kívül helyezte.
- Hatályos
- Már nem hatályos
- Még nem hatályos
- Módosulni fog
- Időállapotok
- Adott napon hatályos
- Közlönyállapot
- Indokolás
